Hier informieren wir Sie über die Bauleitplanung im Bereich der Verbandsgemeinde Linz am Rhein. Bauleitpläne sind der Flächennutzungsplan (vorbereitende Bauleitplanung) und der Bebauungsplan (verbindliche Bauleitplanung).
Flächennutzungsplan
Der Flächennutzungsplan, der keine Außenwirkung entfaltet, dient als Grundlage der planerischen Konzeption der Gemeinden. Planungsträger der Flächennutzungsplanung ist die Verbandsgemeinde.
Bebauungspläne
Bebauungspläne sind aus dem Flächennutzungsplan zu entwickeln und dienen innerhalb eines ausgewählten räumlichen Geltungsbereiches der Schaffung von Baurecht. Entsprechend werden nicht alle Grundstücke von einem Bebauungsplan erfasst. Es wird darauf hingewiesen, dass zur Zeit noch nicht alle Bebauungspläne digital erfasst sind und nachfolgend auf der Homepage zur Verfügung stehen. Planungsträger ist die jeweilige Gemeinde.
Ortsgemeinde Dattenberg
Rechtskräftige Bebauungspläne und städtebauliche Satzungen
Im Verfahren befindliche Bebauungspläne und städtebauliche Satzungen
Ortsgemeinde Kasbach-Ohlenberg
Rechtskräftige Bebauungspläne und städtebauliche Satzungen
Im Verfahren befindliche Bebauungspläne und städtebauliche Satzungen
Ortsgemeinde Leubsdorf
Rechtskräftige Bebauungspläne und städtebauliche Satzungen
Im Verfahren befindliche Bebauungspläne und städtebauliche Satzungen
Stadt Linz am Rhein
Rechtskräftige Bebauungspläne und städtebauliche Satzungen
Im Verfahren befindliche Bebauungspläne und städtebauliche Satzungen
Ortsgemeinde Ockenfels
Rechtskräftige Bebauungspläne und städtebauliche Satzungen
Im Verfahren befindliche Bebauungspläne und städtebauliche Satzungen
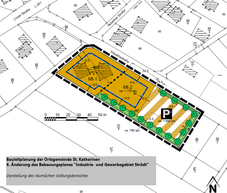
Ortsgemeinde St. Katharinen
Rechtskräftige Bebauungspläne und städtebauliche Satzungen
Im Verfahren befindliche Bebauungspläne und städtebauliche Satzungen
Ortsgemeinde Vettelschoß
Rechtskräftige Bebauungspläne und städtebauliche Satzungen
Im Verfahren befindliche Bebauungspläne und städtebauliche Satzungen















